Suur ülevaade: kõik, mida peaks teadma orkaanidest

2017. aasta Atlandi orkaanihooaeg on olnud vaat et rekordiliselt katastroofiline. Atmosfääriteadlase Jüri Kameniku hinnangul pole tegu siiski millegi enneolematuga.
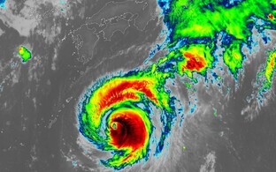
Käesoleva aasta septembris oleme olnud tunnistajaks mitmetele intensiivsetele troopikatsüklonitele. Neist enim kõneainet on pakkunud 1. septembrini tegutsenud 4. kategooria orkaan Harvey, mis tõi Texase osariiki rekordilise sademehulga (paiguti, peamiselt Houstonis ja selle ümbruses, üle 1000 mm), ja 5. kategooria orkaan Irma. Viimane mõjutas paljusid piirkondi Väikestest Antillidest kuni USA-ni välja. Möödunud nädalal, 6.–8. septembril tegutsesid Atlandil korraga kolm orkaani, nende hulgas 2. kategooria orkaan Katia Mehhiko lahel ja 4. kategooria orkaan Jose Väikestest Antillidest läänes.
Siiski ei ole käesolev aasta midagi enneolematut. Meenutagem 2005. aasta orkaanihooaega: tekkis 31 troopikatsüklonit, millest 28 olid troopilise tormi; 15 orkaani ja seitse tugeva orkaani (vähemalt 3. kategooria Saffir-Simpsoni skaalal) tugevusega. Või siis 2010. aastat, kui Atlandi ookeanil või selle ääremeredel tekkis kokku 19 troopikatsüklonit, millest olid 12 orkaanid, neist viis vähemalt 3. kategooria tugevusega. Samuti oli sellele hooajale tüüpiline, et korraga tegutses kaks orkaani, ühel hetkel koguni kolm. Seevastu Vaikse ookeani idaosas lõppes tollal orkaanide moodustumine juba septembris, sest algas La Niña1.
Kuna 2017. a orkaanihooaeg Atlandil on olnud üks kõige katastroofilisem hooaeg üldse, tõusid orkaanid septembris meediahuvi orbiiti. Seepärast tasub orkaaniteemal peatuda pikemalt.
Mõisted selgeks ehk mis on tsüklon?
Mõistet "tsüklon" kasutatakse kirjanduses ja kõnepruugis väga sageli kõrvuti "madalrõhkkonnaga". Harjumuspäraselt peetakse tsükloniks ümbritsevast madalama rõhuga ala. Kui aga süüvida tsükloni mõiste sisusse, viitab see tegelikult suletud tsirkulatsioonile. Seevastu "madalrõhkkond" tähendab ümbritsevast madalama rõhuga piirkonda.
Kuna mõlemad nähtused on tavaliselt seotud, tulenebki sellest näiline sünonüümsus. Eeltoodu ajendil saab õhurõhukaardi puhul rääkida madalrõhkkondadest, aga mitte tsüklonitest. Tsüklonite kindlaks tegemiseks on vaja veel õhu liikumise kaarte, näiteks voolujoonte kaarti.
Madalrõhuala ja tsükloni mõiste sisu erinevad ka selle poolest, et esimene viitab vaid suhtelisele õhurõhule. Näiteks kui selle naaberalal valitseb piisavalt kõrge õhurõhk, võib madalrõhuala sees olla normaalrõhust (1013,25 hPa merepinnal) kõrgem õhurõhk.
Selle ühe näitena tekkis 2012. aasta 4. veebruaril Läänemere lõunaosa kohal polaartsüklon, mille keskmes oli miinimumõhurõhk koguni 1033 hPa. Selline rõhk on aga pigem omane kõrgrõhkkonnale. Lisaks sellele hõlmab madalrõhkkonna mõiste vähemalt üht suletud samarõhujoont või samakõrgusjoont.
Madalrõhkkonna mõiste kõrval võib siis tsüklonit määratleda kui kolmemõõtmelist suletud tsirkulatsiooniga õhukeerist, milles õhk liigub põhjapoolkeral vastupäeva ja lõunapoolkeral päripäeva; selle keskosas on õhurõhk tüüpiliselt kõige madalam.

Nõnda näeb välja troopika- ja parasvöötme- (barokliinne) tsüklon skeemil ja satelliitpildil. Vasakul pildil on 24. oktoobril 2012 Jamaica kohal möllanud orkaan Sandy. Pane tähele moodustuvat tormisilma! Märkus: skeemil on katkendjoontena märgitud isotahhid (tuule tugevuse samajooned) ja pidevjoonega isobaarid. Allikas: NOAA, EUMETSAT/Sat24.com, eestindanud ja graafiliselt kokku seadnud Krista Mölder
Tsükloniteks peetakse kõnekeeles ka väikeseid, ehkki teinekord väga intensiivseid keeriseid nagu tornaadod, tolmukeerised jne. Neis võib õhk liikuda mitte ainult nagu tsüklonis (põhjapoolkeral vastupäeva), vaid ka samamoodi kui antitsüklonis (põhjapoolkeral päripäeva). Rangelt võttes peab aga tsüklon olema kas α-meso- või sünoptilises skaalas liikuv õhupööris, st selle läbimõõt peab olema vähemalt sadu kilomeetreid.
Kõige märkimisväärsemad on barokliinsed ehk parasvöötme- ja troopika- (fronditud) tsüklonid. Olenevalt sellest, millist tüüpi parasjagu käsitletakse, on erinev ka nende tekkekoht ja -viis. Troopikatsüklonid tekivad valdavalt barotroopses troposfääris. Seal, kus on ühtlaselt kuum õhumass ega ole fronte, st puudub õhumasside vastasseis; need saavad oma energia vaid kondenseerumissoojusest. Troopikatsüklonid saavad tekkida ainult ookeanide (ulatusliku veepinna) kohal.
Seevastu parasvöötmetsüklonid tekivad barokliinses troposfääris, st seal, kus on märkimisväärne õhumasside vastasseis, sooja ja külma õhu advektsioon, frondid. Energiat saavad need barokliinsetest protsessidest. Atmosfääris olev potentsiaalne energia muutub parasvöötmetsükloni arengu jooksul kineetiliseks. Need tsüklonid võivad tekkida nii maismaa kui ka ookeanide kohal.
Troopikatsüklonite eripära
Orkaan on troopikatsüklon, milles on aluspinna lähedal kokkuleppeliselt suurim püsituule kiirus üle 32,7 m/s. Orkaanist nõrgemaid troopikatsükloneid nimetatakse troopilisteks tormideks (püsituul 18–32 m/s) ja troopilisteks depressioonideks ehk madalrõhkkondadeks (püsituul nõrgem kui 18 m/s, kuid suletud tsirkulatsioon olemas).
Püsituul on arvestatud tavaliselt ühe minuti keskmisena, vahel ka 10 minuti keskmisena. Tuulepuhangud võivad olla muidugi 10 protsenti või enamgi keskmisest tugevamad. See suurima tuulekiirusega vöönd võib-olla väga kitsas. Mõnedel, tavaliselt 1. ja 2. kategooria orkaanidel, võib orkaanitugevusega tuulte riba silma ümbruses olla ainult 10–30 km laiune.
Troopikatsükloneid klassifitseeritakse Saffir-Simpsoni skaala alusel. See põhineb just ühe minuti keskmisel tuule kiirusel ja selles on 5 kategooriat. Ei kasutata Beauforti skaalat, mis on kohane keskmistel ja suurtel laiustel.

Piltlik Beauforti skaala. gcaptain.com/Wikimedia Commons
Beauforti skaala loodi 1805. aastal, ametlikult kasutusel aastaist 1830. Orkaani läveks 32,7 või 33 m/s, aga ikka keskmise ehk püsiva kiiruse järgi. Tõsi küll, Beauforti skaalat on troopikatsüklonite intensiivsust arvesse võttes pikendatud 1946. aastal 17 pallini. Praktikas kasutatakse sellist pikendatud skaalat vaid Taiwanil ja Hiinas, mis on ohustatud erakordselt tugevatest troopikatsüklonitest üsna sageli. Mujal on sel vaid teoreetiline väärtus kui sedagi.
Rangelt võttes on Saffir-Simpsoni skaala ametlikult kasutusel Atlandi ja Vaiksel ookeanil (kuupäevarajast ida pool), kus nimetatakse intensiivseid troopikatsükloneid orkaaniks. Seevastu taifuunid on vaid Hiina ja Jaapani kandis jne, kus võidakse kasutada teisi skaalasid.
NB! Nähtus (troopikatsüklon ja selle intensiivne variant orkaan) on nii Atlandil, Vaiksel kui ka India ookeanil täpselt sama, olenemata, kuidas neid nimetada (orkaan, taifuun, tsüklon vms).
Orkaani tugevust hinnatakse kaudselt, peamiselt Dvoraki meetodil. Selleks kasutatakse vaid kaugseireandmeid (satelliitpilte), sest otseseid mõõtmisandmeid tavaliselt pole või on neid vähe ja harva.
Orkaanide teke
Orkaani tekkeks on vaja väga sooja mere või ookeani pinnakihti, kus temperatuur on vähemalt 26 °C, (kuid on erandeid nagu 2005. aasta orkaan Vince), ja selle paksus mitukümmend meetrit. Kui nii sooja vee kiht oleks väga õhuke, näiteks kümmekond meetrit, segataks tuule ja lainetuse mõjul ülemised veekihid sügavamatega läbi ning temperatuur langeks liiga madalale.
Lisaks soojale veele peab olema atmosfääris väike tsonaalne tuulenihe ja troposfääri ülaosas nõrgad tuuled. Kui need tingimused on täidetud, võib rünksajupilvede kogumist areneda alguses pilveklaster (-kobar) ja seejärel juba troopiline depressioon (fronditu madalrõhkkond, millel on suletud tsirkulatsioon), hiljem troopiline torm ja lõpuks orkaan. Coriolisi efekt soodustab suletud tsirkulatsiooni (õhuringluse) teket. Seetõttu otse ekvaatoril troopikatsükloneid ei teki, kuna seal Coriolisi efekt (jõud) on null ega anna tõuget tsirkulatsiooni algatamiseks. Ometigi on erandid tsüklon Agni näitel võimalikud.
Orkaanide ja teiste sarnaste struktuuride (lähistroopikatsüklon, potentsiaalne troopikatsüklon) teke on seotud tavaliselt ookeani troopilise osaga. Mõnikord võib neid tekkida aga ka Vahemerel ja Mustal merel. Tõsi, viimase üle veel vaieldakse.
Suurtel laiustel võivad tekkida analoogilised tormid (polaartsüklonid). Neil on olemas troopilise tormi või orkaani tunnused. Sel juhul on vajalik sooja vaba merevee olemasolu, mille kohal on eriti külm õhumass (veetemperatuur näiteks +5 °C, kuid 1,5 kilomeetri kõrgusel atmosfääris aga –30 °C).
Kõikenägev silm?
Kui lugeda õpikuid või muidu populaarteaduslikke artikleid, jääb tüüpiliselt mulje, nagu koosneks orkaan, (pean orkaani all silmas tugevat troopikatsüklonit, mis Saffir-Simpsoni skaala alusel on vähemalt 1. kategooria tugevusega), peamiselt konvektsioonipilvedest. Seejuures on keskmes pilvitu või vähese pilvisusega rahuliku ilmaga ala (silm), mida ümbritsevad eriti võimsad rünksajupilved (nn silmasein).
Tegelikult on väljakujunenud orkaanis pilveliike väga mitmesuguseid, kusjuures konvektsioonipilvedel ei pruugigi olla ulatuse mõttes suurim osakaal. Orkaani tekkimise ajal on tavaliselt tõesti konvektsioonpilvede osakaal väga suur. Aja jooksul suureneb aga märgatavalt teiste pilvede osakaal, eriti siis, kui orkaan on suuremõõtmeline. Lisaks kiudkiht- ja kõrgkihtpilvedele on orkaanis suure tähtsusega ka kihtsajupilved.

Orkaani struktuur ja selle keskme ehk silma kohal asuv antitsüklon. Viimane on tegelikult troposfääri ülemises osas. See tekib orkaanis vabaneva varjatud soojuse tõttu, sest soojenemise käigus kõrgustes vastava õhukihi paksus suureneb ja rõhk tõuseb. Selline antitsüklon suunab orkaani keskmes üles tõusvad ja jahtuvad õhumassid väljavooluna eemale. Nii püsib orkaan stabiilne või saab tugevneda kiiresti, kui väljavool on hästi välja kujunenud ja tugev. Lisaks on näha, millised pilveliigid valitsevad orkaani eri osades. Selline õhurõhk keskmes nagu 950 hPa valitseb sageli 3. ja 4. kategooria orkaanides Saffir-Simpsoni skaalal. Allikas: Sageography, eestindanud ja graafiliselt kokku seadnud Krista Mölder.
Äikest on tüüpilises orkaanis siiski vähe. Peamiselt jääb äike orkaani servaaladele, kus võivad kujuneda üpris võimsad rünksajupilvekogumid, aga ka spiraalsetes osades (feeder bands) ja silmaseina pilvedes on äikest. Tavaliselt on seal küll välkude arv väike. Maapealne vaatleja ei pruugi neid üldse näha. Suur välkude hulk on indikaatoriks, et troopikatsüklon hakkab kiiresti tugevnema.
Silma all on ilm küll enamasti rahulik, kuid võib-olla pilves, näiteks kihtrünkpilvede tõttu. Nende kohal aga on selge. Igas ilmakaares on näha kõrged pilvevallid, nagu asuks kuskil sügava vaagna või kitsa kausi põhjas. Kuna silma piirkonnas on laskuvad õhuvoolud (antitsüklon ja laskumisinversioon), siis pole seal peale alumiste suhteliselt õhukeste pilvede (lamedad rünkpilved, kihtrünkpilved) suuri pilvemassiive.

Vaade orkaani Isabel silmale rahvusvahelisest kosmosejaamast. NASA
Miks silm tekib ja kuidas see saab püsiv olla, ei teata täpselt. Üks olulisi tegureid on ilmselt orkaani kohas asuv antitsüklon, mille keskmes paiknevad laskuvad õhuvoolud; need on seda tugevamad, mida intensiivsem on tsüklon ise. Selle põhjal võib järeldada, miks intensiivsete troopikatsüklonite keskmes asub väheste pilvedega ala. Pilved hajuvad, sest õhk laskub (laskumisinversioon). Oma osa võib olla ka tugeval tsentrifugaaljõul, sest see tekitab nn pesumasinaefekti, mille mõjul tõrjutakse veetilgad pilvedena keskmest eemale (siiski ei usu sellesse väga).
Orkaani kohal asuva antitsükloni kese asubki silma kohal. See antitsüklon viib orkaanist tõusvad ja jahtuvad õhumassid eemale, vastasel juhul hääbuks orkaan (troopikatsüklon) üsna kiiresti pärast tekkimist. Antitsükloni olemasolu tähendab ka seda, et orkaani kohal on vastupidise õhutsirkulatsiooniga ala kui orkaanis endas.
Orkaani surm
Tõele vastab kindlasti see, et maismaa on orkaani surm. Väga niiskete ja soiste alade kohal võib orkaani nõrgenemine olla teatud tingimustel veidi aeglasem, kuid hääbumisest seda muu ei päästa, kui uuesti sooja vee kohale jõudmine. Orkaani arengut takistab või nõrgendab ka väga kuiv õhumass, isegi kui kõik muud tingimused võivad olla väga head. Samuti on väga ebasoodne asjaolu tugevate troposfääri ülaosa tuulte piirkonda sattumine, täpsemalt tugev tsonaalne tuulenihe.
Seevastu meridionaalse tuulenihkega, isegi vastavate jugavooludega, on ebasoodne mõju vähe seotud või koguni on soodsaks asjaoluks, sest meridionaalse jugavoolud pakuvad jahtunud õhumassidele soodsat äravoolukanalit. Tsonaalsed tugevad tuuled destruktureerivad konvektsiooni. See on sisuliselt orkaani mootoriks.
Orkaanide nimedest
Troopilisi madalrõhkkondi (ehk neid troopikatsükloneid, mis tekkimise hetkel pole veel troopiline torm) tähistatakse järjekorranumbriga vastavalt sellele, mitmes on see antud hooajal. Kui selline madalrõhkkond tugevneb troopiliseks tormiks, siis antakse sellele nimi. Vastavaid nimekirju koostatakse viieks aastaks ette ehk Atlandil vahetatakse nimekirju kuue aasta järel. WMO komisjon kinnitab igal aastal, saates mõned "erru" (pensionile). Seega, kui tekib troopiline torm, siis on nimi juba kohe võtta.
Kasutatakse vaheldumisi mehe- ja naisenimesid, kusjuures nimed on tähestikulises järjekorras. Nimetamine lihtsustab suhtlemist ja väldib eksitusi, sealhulgas suurendab hoiatuste andmisel arusaamist, et millisest troopikatsüklonist käib jutt. Nimetama hakati Atlandi ookeanil ametlikult 1953. aastast, kusjuures 1979. aastani kasutati vaid naisenimesid, hiljem vaheldumisi mehe -ja naisenimesid kuni tänapäevani. Sealjuures kasutatakse nimekirja ikka uuesti ja uuesti ja pensionile saadetakse vaid väga suurt kahju tekitanud orkaanid ehk nende nimesid enam ei kasutata.
2017. aasta erilisus
Seda orkaanihooaega peetakse Atlandi ajaloos üheks katastroofilisemaks üldse. Näiteks Barbuda saar tehti maatasa. Esmalt tabas seda 5. kategooria orkaan Irma. Hiljem möödus sellest kaugemalt 4. kategooria orkaan Jose. Lisaks püstitati troopilise tsükloni sajurekord USAs: 1318 mm orkaan Harveyga Texases, mis paigutub kogu Atlandi lõikes 5. kohale. Orkaan Jose jätkas tegutsemist veel septembri teisel poolelgi ja lähenes Kanadale.
Kuid kas see kõik on kuidagi erakordne ja anomaalne? Loomulikult esineb anomaaliad läbi aegade. Nii on mitmed orkaanide rekordid aastakümneid vanad (ja rohkemgi) ehk veel ajast, kui süstemaatiliselt nimesid neile ei pandud, (sellega alustati 1950ndatel). Vahest üks märkimisväärsemaid rekordeid on 1780. aasta orkaan, mis viis Kariibias üle 20 000 hukkununi, olles Atlandil teadaolevalt ohvriterohkeim.

Kuid kas orkaane on viimasel ajal rohkem ja nad on tugevamad? Seda on keeruline öelda. Tänu kaugseire arengule on olemas info kõikide troopikatsüklonite kohta alles alates 1970. aastatest. Seega pole usaldusväärne aegrida kuigi pikk. Siiski, võimalikke trende on uuritud. On leitud, et peamiselt puudutavad võimalikud muutused just orkaanide tugevust ja intensiivsust.
Võib karta üha võimsamaid orkaane. Nende tugevuse ja intensiivsuse määrab eeskätt veetemperatuur. Kliimamuutuse kontekstis on tähtis peamiselt ookeani pinnaveetemperatuuri tõus. Seevastu orkaanide hulga ja sageduse kohta on saadud vastuolulisi tulemusi, sealhulgas: võib küll oodata võimsamaid orkaane, kuid nende üldarv väheneb.
Ilmselt määrab orkaanide arvu mõni keerukam mehhanism või on lisaks veetemperatuurile võrdväärselt olulised ka teised tingimused. See keerukam mehhanism võib tõenäoliselt olla Atlandi mitmeaastakümne-ostsillatsioon (AMO).
Arvan, et muretseda tasub vast orkaanide võimsuse kasvu pärast ehk nende purustusjõud suureneb.
Kuigi orkaanidesse võib suhtuda nii hästi kui halvasti, on kindel see, et orkaanid on kasulikuks ja vajalikuks nähtuseks nii süsteemi ookean-atmosfääri soojusbilansi tasakaalustajana kui ka on tähtsaks niiskusallikaks. Nii mõnigi rahvas tervitab orkaane kui kauaoodatud vihmaandjat.
Orkaanid Eestis?
Kas ja kuidas võivad orkaanid ka Eestit kuidagi mõjutada? Eestit troopikatsüklonid otseselt mõjutada ei saa. Puuduvad igasugused tingimused nii nende kohalejõudmiseks kui ka siin tekkimiseks, (palju maismaad, Läänemere väiksus ja külm vesi jne). Ilmselt see ka jääb nii.
Kuid ükskõik kui palju kliima ka muutuks, on neil kaudne mõju ometigi olemas. Seda on uurinud ilmahuviline Tarmo Tanilsoo, kes näitas oma uurimistöös, et orkaanid võivad jõuda Eestisse jäänustena. Näiteks muutuvad need parasvöötmetsükloniks või ühinevad mõne sellisega, andes viimase tugevnemiseks soojust ja niiskust.
Seejärel võib sellist lisa saanud tsüklon lõpuks Läänemerele jõuda ja tuua kaasa tuult ja sadu. Nii tõid näiteks orkaan Helene jäänused 2006. a võimsaima äikesepäeva Eestisse nii hilisel ajal nagu 1. oktoobril.
Ei midagi uut Päikese all
Kokkuvõttes ei ole midagi uut siin päikese all. On olnud praegusest ka märksa tugevamaid ja erilisemaid orkaane. Samas tasub muretseda nende võimsuse kasvu pärast, sest veetemperatuur on kasvutrendis. Näiteks Irma puhul võimaldas selle 5. kategooriana püsimist peaaegu rekordilise aja just üle 30 °C veetemperatuur.
Inimmõju (nt inimtekkelist kliimamuutust) on aga keeruline lahutada looduslikust varieeruvusest (nt AMO). Seetõttu pole võimalik öelda kuigi suure usaldusväärsusega, mis hakkab orkaanidega edasi toimuma. Kindel on, et need tulemata ei jää.
Eestis pole orkaane vaja karta, kuid nende jäänused avaldavad ometigi aeg-ajalt mõju. Pigem on siin teemaks näiteks paduvihma sagenemine ja nende intensiivsuse kasv, kuumasaare-efekt linnades (tiheasustusaladel) jms.
1 – La Niña on nähtus, kui Vaikse ookeani idaosa vee pinnatemperatuur muutub keskmisest külmemaks. Lõuna-Ameerika ranniku ilm on sel puhul tavalisest kuivem. La Niña ajal suureneb muu hulgas orkaanide sagedus ja tugevus Atlandi ookeanil.
Toimetaja: Jaan-Juhan Oidermaa




























