Kui tervistkahjustav võis olla pimeduse toonud tahmapilv ja määrdunud vihm?

Pärast eilset Portugalist ja Sahara kõrbest saabunud pimedust kurtsid inimesed, et tundsid õhus tahmalõhna ning sotsiaalvõrgustikes arutati võimalike tervisemõjude üle. ERR Novaator uuris, mis tegi õhtuks alla sadanud vihma mustaks ning kas tõesti oli õhus tunda nõe lõhna?
Eesti keskkonnauuringute keskuse õhukvaliteedi seire kohaselt kasvas õhus peenosakeste hulk märgatavalt. 16. oktoobri ehk esmaspäeva päeval see kahekordistus ning teisipäeva õhtul oli neid näiteks Vilsandi mõõtejama andmetel suisa 20 µg/m3 kohta. Kehtivate normide järgi ei tohiks peenosakesi olla ööpäeva jooksul kuupmeetris õhus rohkem kui 50 mikrogrammi.
TTÜ ehituse ja arhitektuuri instituudi professor Jarek Kurnitski selgitas, et sellised peenosakesed tekivad ka muude põlemisprotsesside tulemusel ja liikluse heitgaasidest ning neid jälgitakse pidevalt välisõhu kvaliteedi hindamisel.
Peenosakesed tungivad sügavale hingamisteedesse ja suuremate kontsentratsioonidega piirkondades ja linnades on ka haigusi ja suremust rohkem.
„Tegemist on vägagi otseste tervisemõjudega, mis sisaldavad hingamisteede kroonilisi põletikke, kopsuhaigusi, allergilise astma ilmingud või aastakümnetega kujunenud vähkkasvajaid. Kõige lihtsamal viisil tajutavad peenosakesed on põleva lõkke suits, mille sisse hingamist iseenesest mõistetavalt tuleb vältida,“ on Kurnitski veendunud.
Siinkohal on aga oluline märkida, et peenosakeste kontsentratsiooni ühekordne tõus siiski koheselt kedagi haigeks ei tohiks teha. Peenosakesed põhjustavad küll teadaolevalt südame- ja veresoonkonna haigusi, kuid seda pikaajalisel sissehingamisel, märkis Eesti keskkonnauuringute keskuse õhukvaliteedi osakonna juhataja Erik Teinemaa.
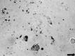
Teinemaa edastas ka tänahommikuse õietolmu mõõtmise kohta käivad pildid, mis pidanuks püüdma kinni ka tolmuosakesed. „Õietolmu filterlintidelt väga erakordseid tolmusisaldusi näha ei olnud. Midagi seal loomulikult oli, aga kas see oli kohalikku päritolu või kaugemalt ei saa visuaalselt öelda,“ selgitas Teinemaa.

ERR Novaatorile kurtis mitu inimest, et eile õhtul oli Tallinna tänavatel tunda ka tahma või nõe lõhna. Arvestades, et tahma ja Sahara liiva osakesi oli õhus ka esmaspäeva õhtul ning mõlemal päeval maalähedastesse õhukihtidesse jõudnud peenosakesed olid enne seda hõljunud pilvedest kõrgemal, siis tänaval tunda olnud nõe lõhn ei tulnud ilmselt Portugali metsatulekahjudest.
Pigem oli tegu kohtkütte ehk ahjudest ja kaminatest tulnud suitsuga, mida vihmasadu tänavatele surus.
Kuidas peenosakesed toaõhku mõjutavad?
Välisõhu peenosakesed tulevad siseruumidesse kui hoonetes ei ole korraliku ventilatsioonisüsteemi. Loomuliku ventilatsiooni või väljatõmbeventilatsiooni puhul hoonetes ei ole õhufiltreid üldse või on ainult jämefiltrid, millest pole peenosakeste puhul kasu. Inimesed on kaitstud kui hoones on sissepuhke ja väljatõmbeventilatsioon.
Enamik peenosakestest jääb sissepuhkeõhu tavapärastesse peenfiltritesse, mida kasutatakse nii uute elamute kui ka muude hoonete ventilatsioonisüsteemides.
Sissepuhke- ja väljatõmbeventilatsiooni olemasolu ongi kõige olulisem tegur, mis mõjutab inimese peenosakeste doosi nii eilse juhtumi kui ka üleüldiselt näiteks tiheda liiklusega tee ääres elades või ka muul ajal esinevate metsapõlengute puhul.
„Eilne “must pilv” kadus suhteliselt kiiresti, sest vihm pesi õhu puhtaks,“ märkis Kurnistki.
Koormus ventilatsiooniseadmete filtritele ei ole peenosakeste puhul märkimisväärne, sest nende mass on väga väike. Filtrid täituvad ja ummistuvad suuremate tolmuosakeste tõttu, ning protsessi kiirus sõltub väga palju hoone asukohast – kui tolmurohkes keskkonnas hoone on.
Seetõttu on erineva asukohaga hoonete puhult ka filtrite vahetamise aeg erinev, tavaliselt vahetatakse filtreid 1–2 korda aastas.
Kodustes ventilatsiooniseadmetes võib jämefiltreid ka pesta ning kasutada nii mitu aastat, kuid peenfiltrit tuleb ikkagi kord aastas vahetada. Peenfiltri mustumine on eriti hästi silmaga näha ahiküttega piirkondades kuna suitsuosakesed määrivad filtri sõna otseses mõttes mustaks ning jätavad külge ka ebameeldiva lõhna.
Galerii eilset sudusest päevast, mil valgeks ei läinudki:

Tallinna tehnikaülikooli professor Sirje Keevallik selgitas eile, et umbes 10 kilomeetri kõrgusel vonkles eile jugavool, mis suundus edelast kirdesse. See võttis hoo sisse Atlandi ookeanilt Portugali lähistelt ja kihutas täpselt üle Eesti. Sellega tuli kaasa nii Portugali metsapõlengu suits kui Sahara tolm.































